Acest site foloseste cookies. Navigand in continuare, va exprimati acordul asupra folosirii cookie-urilor. Politica de utilizare a cookie-urilor | Protectia datelor cu caracter personal

Știri și anunțuri

Licitații publice pentru vânzarea de parcele de teren în zona "La festival". Suprafață/ parcelă 540 metri pătrați
Licitații publice pentru vânzarea de parcele de teren în zona "La festival". Suprafață/ parcelă 540 metri pătrați
Primăria comunei Ibănești anunță organizarea de licitații publice pentru vânzarea a opt parcele de teren situate în intravilan, în suprafață de 540 mp/ parcela, în zona numită "La festival", în scopul construirii de case de vacanță și cabane (pentru anunț complet și numere cadastrale: Anunț licitație).

Documentația de licitație împreună cu caietul de sarcini se pot obţine până la data de 10 octombrie ora 12:00 de la registratura Primăriei Ibăneşti sau de pe www.ibanesti.ro.

Ofertele de participare la licitaţie se depun într-un singur exemplar pentru fiecare parcelă împreună cu documentele necesare pentru participarea la licitație, la registratura Primăriei Ibăneşti până la data 15 octombrie ora 12:00.

Ședința publică de deschidere a ofertelor are loc în data de 16 octombrie ora 10:00, la sediul Primăriei comunei Ibăneşti, str. Principală, nr. 708, jud. Mureş.

Persoanele interesate au dreptul de a solicita clarificări privind documentaţia de atribuire până la data de 10 octombrie ora 10:00.

Documentația de licitație (vă rugăm să accesați link-urile de mai jos):

-Anunț licitație
-Caiet de sarcini 
-Declarație de participare la licitație
-Declarație pe propria răspundere pentru participare la licitație
-Fișa cu informații privind ofertantul care participă la licitație 
-Împuternicire pentru participare la licitație
-Oferta de cumpărare la licitație
-Fișa de date privind vânzarea parcelelor de terenuri și prețuri de piață (prin raport de evaluare)
-Schiță parcele

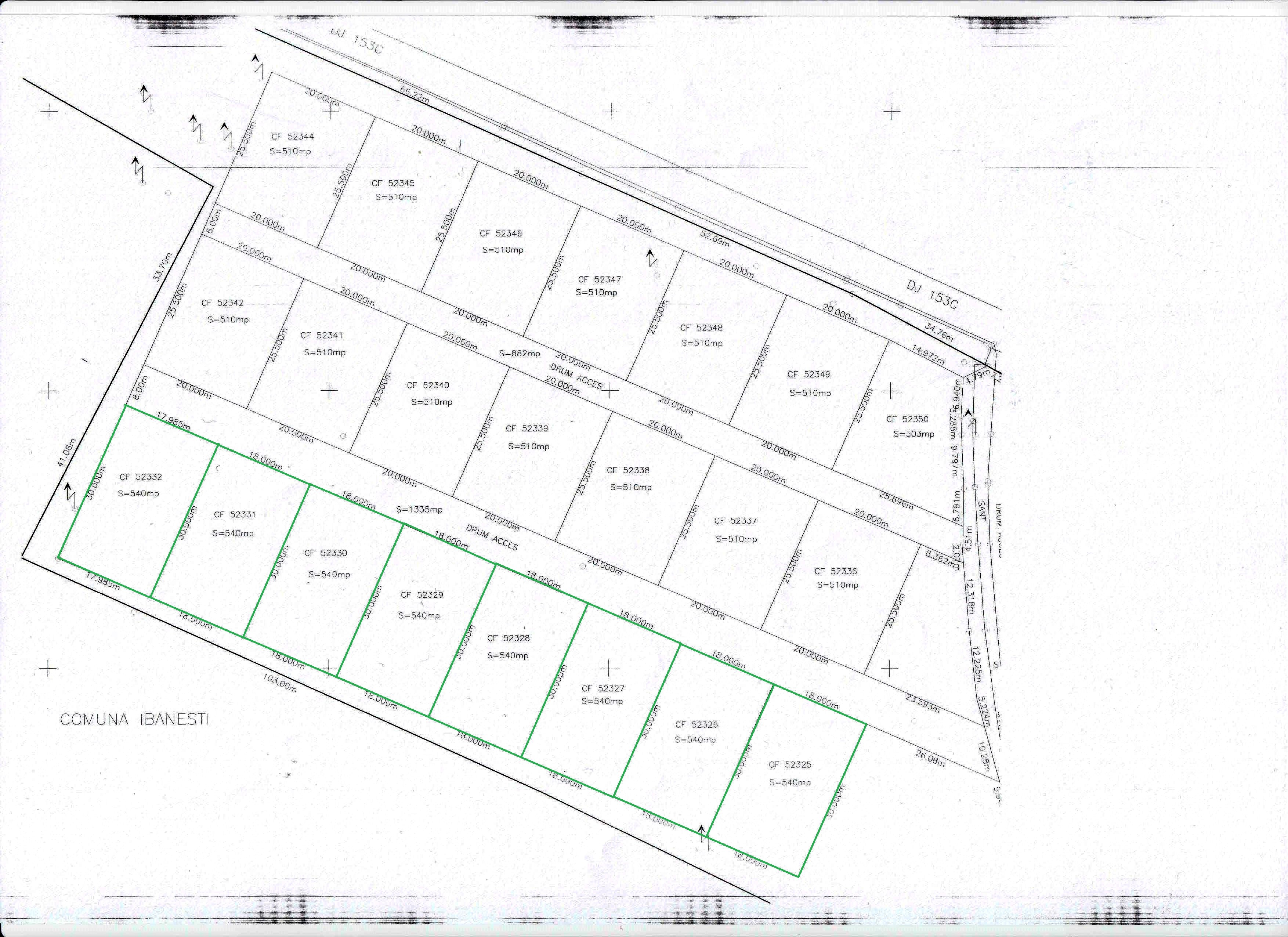
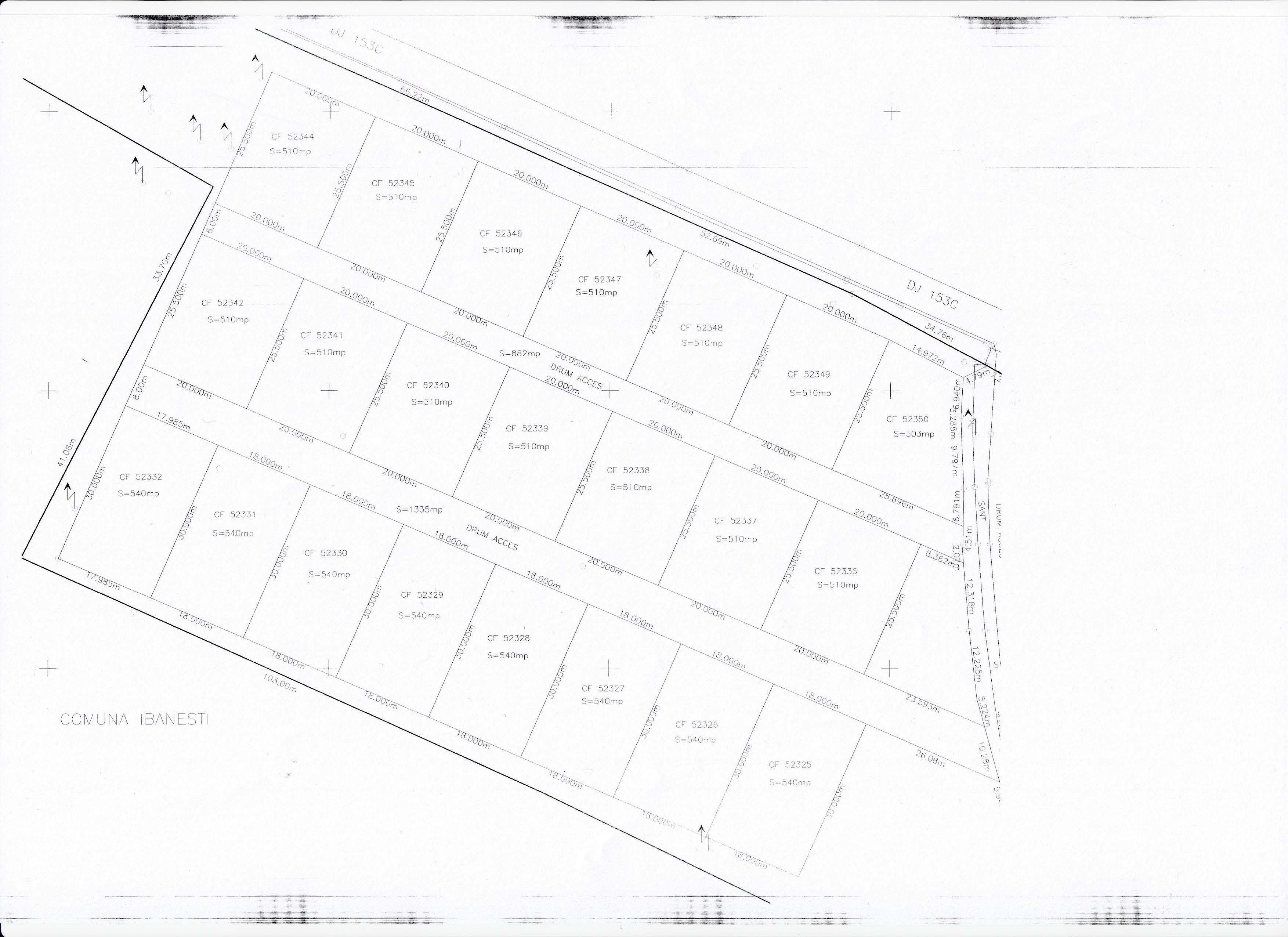
Schița cu parcelele este mai jos, în continuarea anunțului (vă rugăm să dați click pe imagine). Cele opt parcele sunt reprezentate în chenar verde. De asemenea, pentru localizarea parcelelor puteți accesa http://geoportal.ancpi.ro/geoportal/imobile/Harta.html și să completați județul, UAT-ul (Ibănești) și numărul cadastral.

Informaţii suplimentare se pot obţine de la sediul Primăriei Ibănești sau la numărul de telefon: 0755144720. 

10.09.2019
Licitații publice pentru vânzarea de parcele de teren din domeniul privat al comunei Ibănești
Licitații publice pentru vânzarea de parcele de teren din domeniul privat al comunei Ibănești
Primăria comunei Ibăneşti anunţă organizarea de licitații publice pentru vânzarea de parcele de teren din domeniul privat al comunei Ibănești, sat Brădețelu, situate în intravilan, în scopul construirii de case de vacanță și cabane.

8 parcele de teren, sat Brădețelu. Suprafață parcelă: 540 mp

Primăria comunei Ibăneşti, având în vedere Hotărârea Consiliului Local al comunei Ibănești nr. 62 din 29 august 2019 privind aprobarea vânzării la licitație publică a unor parcele de teren din domeniul privat al Comunei Ibănești, anunţă organizarea licitației publice pentru vânzarea a opt parcele de teren din domeniul privat al comunei Ibănești, sat Brădețelu, situate în intravilan în scopul construirii de case de vacanță și cabane, fiecare în suprafață de 540 mp (pentru anunț complet și numerele cadastrale ale parcelelor de teren: Anunț licitație: parcele 1-8).

Informaţii suplimentare se pot obţine de la sediul Primăriei Ibănești sau de la persoana de contact Farcaș Sebastian Irimie, telefon: 0755144720. 

Informații importante și calendar

-Documentația de licitație împreună cu caietul de sarcini se pot obţine până la data de 10 octombrie ora 12:00 de la registratura Primăriei Ibăneşti sau de pe site-ul instituției începând cu data de 24.09.2019.

-Ofertele de participare la licitaţie se depun într-un singur exemplar pentru fiecare parcelă împreună cu documentele necesare pentru participarea la licitație, la registratura Primăriei Ibăneşti până la data 15 octombrie ora 12:00.

-Ședința publică de deschidere a ofertelor va fi în data de 16 octombrie ora 10:00, la sediul Primăriei comunei Ibăneşti, str. Principală, nr. 708, jud. Mureş.

-Persoanele interesate au dreptul de a solicita clarificări privind documentaţia de atribuire până la data de 10 octombrie ora 10:00.

-Instanța competentă pentru soluționarea eventualelor litigii este Judecătoria Reghin.

13 parcele de teren, sat Brădețelu. Suprafață parcelă: 510 mp

De asemenea, Primăria comunei Ibănești anunță organizarea licitației publice pentru vânzarea a 13 parcele de teren din domeniul privat al comunei Ibănești, sat Brădețelu, fiecare în suprafață de 510 mp, situate în intravilan în scopul construirii de case de vacanță și cabane (pentru anunț complet și numerele cadastrale: Anunț licitație: parcelele 9-21).

Informații importante și calendar

-Documentația de licitație împreună cu caietul de sarcini se pot obţine până la data de 17 octombrie ora 12:00 de la registratura Primăriei Ibăneşti sau de pe site-ul instituției începând cu data de 24.09.2019.

-Ofertele de participare la licitaţie se depun într-un singur exemplar pentru fiecare parcelă împreună cu documentele necesare pentru participarea la licitație, la registratura Primăriei Ibăneşti până la data 22 octombrie ora 12:00 .

-Ședința publică de deschidere a ofertelor pentru parcelele nr. 9-21 va fi în data de 23 octombrie ora 10:00, la sediul Primăriei comunei Ibăneşti, str. Principală, nr. 708, jud. Mureş.

-Persoanele interesate au dreptul de a solicita clarificări privind documentaţia de atribuire până la data de 17 octombrie ora 10:00.

Informaţii suplimentare se pot obţine de la sediul Primăriei Ibănești sau de la persoana de contact Farcaș Sebastian Irimie, telefon: 0755144720. 

De asemenea, Primăria comunei Ibănești anunță organizarea licitației publice pentru vânzarea unei parcele de teren din domeniul privat al comunei Ibănești, sat Brădețelu, în suprafață de 503 mp (pentru anunț complet și număr cadastral: Anunț licitație: parcela 22)

Informații importante și calendar

- Documentația de licitație împreună cu caietul de sarcini se pot obţine până la data de 24 octombrie ora 12:00 de la registratura Primăriei Ibăneşti sau de pe site-ul instituției începând cu data de 24.09.2019.

-Ofertele de participare la licitaţie se depun într-un singur exemplar pentru fiecare parcelă împreună cu documentele necesare pentru participarea la licitație, la registratura Primăriei Ibăneşti până la data 29 octombrie ora 12:00.

-Ședința publică de deschidere a ofertelor pentru parcela nr. 22 va fi în data de 30 octombrie ora 10:00, la sediul Primăriei comunei Ibăneşti, str. Principală, nr. 708, jud. Mureş.

-Persoanele interesate au dreptul de a solicita clarificări privind documentaţia de atribuire până la data de 24 octombrie ora 10:00.

Informaţii suplimentare se pot obţine de la sediul Primăriei Ibănești sau de la persoana de contact Farcaș Sebastian Irimie, telefon: 0755144720. 

Documentația de licitație (vă rugăm să accesați link-urile de mai jos):

Caiet de sarcini 
Declarație de participare la licitație
Declarație pe propria răspundere pentru participare la licitație
Fișa cu informații privind ofertantul care participă la licitație 
Împuternicire pentru participare la licitație
Oferta de cumpărare la licitație
Fișa de date privind vânzarea parcelelor de terenuri și prețuri de piață (prin raport de evaluare)
Schița loturilor de parcele

Pentru localizarea rapidă a parcelelor, puteți să accesați și http://geoportal.ancpi.ro/geoportal/imobile/Harta.html și să completați județul, UAT-ul (Ibănești) și numărul cadastral.

10.08.2019
Ziua de Curățenie Națională - ediția 2019, Ibănești
Ziua de Curățenie Națională - ediția 2019, Ibănești
Ziua de Curăţenie Naţională, organizată de Let's Do It, România!, s-a desfășurat astăzi în localități din 26 de județe din România. Ca și la edițiile anterioare, comuna Ibănești s-a numărat printre localitățile participante la ampla acțiune de ecologizare. 

În cursul dimineții, Primăria Ibănești a distribuit în școli mănușile și sacii menajeri necesari desfășurării acțiunii și a oferit participanților la Ziua de Curățenie Națională sucuri, cornuri și tricouri. La ora 10.00, ora la care s-a dat startul acțiunii la nivel național, elevii însoțiți și ajutați de cadre didactice au început să strângă peturi, ambalaje, cutii, folii și alte resturi de-a lungul drumului județean și pe unele porțiuni de pe lângă râul Gurghiu. 

Ziua de Curățenie Națională a fost pentru ei nu doar o activitate de curățenie, ci și o ocazie să vadă cu propriii ochi cât de mult contează ca fiecăruia să-i pese de mediul înconjurător, de comună - locul în care trăiesc cu toții și cât de mult înseamnă gesturile simple - să nu arunce un ambalaj pe jos, să ridice de pe drum paharul de lapte gol, scăpat sau aruncat de vreun coleg. Au fost dezamăgiți să găsească multe mucuri de țigări aruncate în parcuri și să vadă peturile și alte lucruri pe care le-au strâns de pe râul Gurghiu. 

Bogdan Todoran, elev în clasa a V-a la Școala Gimnazială Ibănești Pădure, a participat astăzi pentru a doua oară la Ziua de Curățenie Națională. Spune că el și colegii lui și-au dat seama cât este de important să păstrezi curățenia și că a început să atragă atenția atunci când vede pe cineva că aruncă pe jos. A observat că au strâns o cantitate mai mică de deșeuri decât la acțiunea anterioară, dar că a fost nevoie să curețe în continuare mult de pe râul Gurghiu. "Aș vrea să spun celorlalți că trebuie să protejăm natura, să avem mai multă grijă de ea. Altfel vom ajunge să avem multe mizerii, să fim înconjurați de plastic. Și să nu mai poluăm aerul pentru că nu vom mai putea respira!", spune el.

Ziua De Curățenie Națională face parte dintr-o acțiune mult mai amplă, care s-a desfășurat astăzi la nivel mondial și anume Ziua De Curățenie Mondială, zi în care milioane de voluntari din toată lumea au ieșit la curățenie. Anul trecut, la Ziua de Curățenie Mondială au participat 158 de țări, însemnând 11 milioane de voluntari care au strâns 88.500 de tone de deșeuri.

 

 

09.22.2019
Se mai pot depune cereri de finanțare pentru submăsura 6.3 - "Sprijin pentru dezvoltarea fermelor mici"
Se mai pot depune cereri de finanțare pentru submăsura 6.3 - "Sprijin pentru dezvoltarea fermelor mici"
Oficiul de dezvoltare montană Ibănești aduce la cunoștința fermierilor din zona județului Mureș că, pentru submăsura 6.3 - "Sprijin pentru dezvoltarea fermelor mici" din cadrul PNDR, se mai pot depune cereri de finanțare întrucât există fonduri.  

Submăsura 6.3 vizează sprijinirea investițiilor pentru creșterea competitivității exploataților agricole prin dotarea cu utilaje și echipamente performante în raport cu structura agricolă actuală, precum și investițiile pentru modernizarea fermei (în special cele de dimensiuni medii și asocieri de ferme mici și medii) și îmbunătățirea calității activelor fixe.

Beneficiari sunt fermierii care dețin în proprietate sau folosință o exploatație agricolă încadrată în categoria de fermă mică. Dimensiunea unei ferme mici este cuprinsă între 4.000 – 11.999 SO (valoarea producției standard).

Sprijinul nerambursabil de 15.000 Euro se acordă:

- în două tranșe astfel:

 75% din cuantumul sprijinului la primirea deciziei de finanțare;

 25% din cuantumul sprijinului în maximum 3 ani de la primirea deciziei de finanțare;

- se va acorda pe o perioadă de 3/ 5* ani (perioada de 5 ani se aplică doar pentru sectorul pomicol).

Pragurile de calitate lunare pentru sesiunea 2019
- 80 de puncte pentru perioada 01.09 - 30.09.2019

-  75 de puncte pentru perioada 01.10 - 31.10.2019

-70 de puncte pentru perioada 01.11 - 30.11.2019

- 15 puncte pentru perioada 01.12 - 31.12.2019

Mai multe informații găsiți pe portalul AFIR https://portal.afir.info/informatii_generale_pndr_investitii_prin_pndr_sm_6_3_dezvoltare_ferme_mici

Informații utile AZNM: http://azm.gov.ro/calendarul-fermierului-montan-in-luna-septembrie-3/

 

09.17.2019
S-a înființat Oficiul de dezvoltare montană Ibănești
S-a înființat Oficiul de dezvoltare montană Ibănești
În comuna Ibănești și-a început funcționarea Oficiul de dezvoltare montană Ibănești. Oficiul s-a înființat ca urmare a aprobării Legii Muntelui nr.197/2018, ca și componentă subordonată Agenției Naționale a Zonei Montane, instituție publică cu funcție de autoritate de stat în domeniul dezvoltării durabile a zonei montane.  

Oficiul de dezvoltare montană Ibănești deservește tuturor UAT-urilor din zona montană a județului Mureș și are ca principale atribuții :

- informarea permanentă a fermierilor din zona montană cu privire la legislația agricolă și de mediu. 

- informarea privind oportunitățile de finanțare naționale și europene.

- acordarea de consultanță tehnică fermierilor privind implementarea programului de încurajare a activităților în zona montană. 

- promovarea produselor pentru obținerea certificării mențiunii de calitate facultativă Produs Montan.

Consilierul ANZM responsabil pentru zona montană a județului Mureș este Dora Aurelia Mihai, pe care o puteți găsi la sediul oficiului - Ibănești, strada Principală, nr. 708, în clădirea fostei grădinițe, la etaj.

Program: luni - joi între orele 8.30-17.00, vineri între orele 8.30-14.30. 

 

 

09.13.2019
Campanie de culegere de numere de telefon pentru transmiterea mesajelor de interes public locuitorilor comunei Ibănești
Campanie de culegere de numere de telefon pentru transmiterea mesajelor de interes public locuitorilor comunei Ibănești
Primăria Ibănești anunță demararea unei campanii de culegere de numere de telefon de la locuitorii comunei în scopul transmiterii de mesaje de interes public (coduri și avertizări meteorologice, anunțuri și informări de interes public etc). 

Zilele acestea și în perioada următoare, o echipă din partea primăriei se deplasează pe teren pentru a culege numere de telefon de la locuitorii comunei în scopul transmiterii de mesaje de interes public.

Echipa are delegații, ecusoane și acorduri, semnarea acestui acord reprezentând acceptul persoanei respective pentru primirea mesajelor. "Vrem să transmitem cât mai mult din ceea ce facem la primărie și ca locuitorii să fie informați în timp util de orice problemă care ne privește pe plan local", explică primarul comunei, Dan Vasile Dumitru

De asemenea, prin aceste acorduri scrise, Primăria Ibănești asigură pe cei care își dau numărul de telefon că protejează această informație, având grijă ca numărul să nu ajungă în alte baze de date decât în cea a primăriei. 

 

09.10.2019
Amenzi pentru arderea miriștilor, a vegetației uscate și a resturilor vegetale fără respectarea reglamentărilor în vigoare!
Amenzi pentru arderea miriștilor, a vegetației uscate și a resturilor vegetale fără respectarea reglamentărilor în vigoare!
Arderea miriștilor, a vegetației uscate și a resturilor vegetale fără respectarea reglementărilor în vigoare se sancționează cu amenzi usturătoare!

Arderea miriștilor, a vegetației uscate și a resturilor vegetale se face doar în conformitate cu reglementările în vigoare care au drept scop prevenirea producerii situațiilor de urgență (incendii). Nerespectarea acestora este considerată contravenție și duce la aplicarea de amenzi. 

- Arderea miriştii, a vegetaţiei uscate şi a resturilor vegetale se face doar în timpul zilei, iar aprinderea acestora trebuie să aibă loc înainte de ora 14.00.

Este obligatorie supravegherea focului până la stingerea lui.

- Este interzisă utilizarea focului deschis în zilele de sâmbătă și duminică.

- Utilizarea focului deschis se anunță în prealabil la Serviciul Voluntar pentru Situații de Urgență al comunei Ibănești (SVSU - tel: 0755.144.703, șef serviciu Florin Petra).

- Sunt interzise utilizarea focului deschis în locuri cu pericol de incendiu, precum și arderea miriștilor, a vegetației uscate și a resturilor vegetale, nesupravegheată sau în cazul în care condițiile meteorologice sunt nefavorabile, respectiv, vânt. (Consultați Dispoziția Nr. 163/07.04.2017 privind măsurile pentru evitarea producerii situațiilor de urgență generate de arderea miriștilor, a vegetației uscate și a resturilor vegetale).

ATENȚIE! Arderile (mirişti, stuf, tufăriș, vegetaţia ierboasă) efectuate fără acceptul autorităților competente se consideră contravenții și se sancționează cu amenzi cuprinse între 3.000 și 6.000 de lei pentru persoane fizice și 25.000 și  50.000 lei pentru persoane juridice, potrivit art. 96, Ordonanța de Urgență nr. 195/2005 privind protecția mediului, modificată și completată prin Ordinul nr. 605/579/2008 emis de ministrul Internelor și Reformei Administrative și al ministrului Agriculturii și Dezvoltării Rurale.

Recomandări

- Pe lângă faptul că arderile necontrolate pot provoca adevărate dezastre, utilizarea focului deschis în scopul curățării terenurilor, chiar dacă respectă normele menționate, reprezintă un disconfort pentru gospodăriile învecinate. Pentru ca acesta să fie cât mai redus, vă recomandăm să anunțati și proprietarii gospodăriilor învecinate cu zona în care dați foc de intenția dumneavoastră.

-  În situația în care consideră acțiunea de ardere periculoasă, cetățenii pot să o sesizeze - la SVSU, respectiv Numărul Unic de Urgență 112. SVSU va lua în acestă situație măsurile de siguranță care se impun, iar pentru arderile care se constată că nu respectă reglementările în vigoare (SVSU nu a fost informat, s-a dat foc după ora 14.00, este zi de sâmbătă sau duminică, condițiile meteorologice sunt nefavorabile acestei actiuni, foc nesupravegheat, zonă periculoasă) se vor aplica amenzile aferente.

 

09.03.2019
Ședință ordinară a Consiliului Local al Comunei Ibănești - joi, 29.08.2019
Ședință ordinară a Consiliului Local al Comunei Ibănești - joi, 29.08.2019
Joi, 29.08.2019, de la ora 17:00, la sediul Primăriei Comunei Ibănești, are loc ședința ordinară a Consiliului Local Ibănești, cu următoarele puncte pe ordinea de zi:  

1. Proiect de hotărâre privind solicitarea adresată Guvernului României pentru trecerea, cu titlu gratuit a unor drumuri forestiere şi a terenurilor aferente acestora, din domeniul public al statului şi din administrarea Regiei Naţionale a Pădurilor – ROMSILVA, în domeniul public al Comunei Ibănești şi în administrarea Consiliului local al Comunei Ibănești, Județul Mureș. Inițiator proiect: primar, Dan Vasile-Dumitru
2. Proiect de hotărâre privind gospodărirea comunei Ibăneşti. Inițiator proiect: primar, Dan Vasile-Dumitru (pentru mai multe informații:
convocator)

 

 

 

08.28.2019
Continuă lucrările de asfaltare în comuna Ibănești
Continuă lucrările de asfaltare în comuna Ibănești
Lucrările de asfaltare continuă în comuna Ibănești, în prezent se toarnă asfalt în zona Zimți.

Zona Zimți în care se lucrează în prezent reprezintă o locație importantă pentru proiectul prin care s-a obținut finanțarea din fonduri europene, întrucât drumul de la podul de la Zimți la Schitul Adormirea Maicii Domnului (unde Preasfințitul Irineu, Arhiepiscop al Alba-Iuliei va oficia vineri slujba de sfințire a bisericii și Liturghia, potrivit site-ului oficial al acestuia) a adus puncte importante pentru finanțare.

Reamintim că obținerea finanțării a fost condiționată de atingerea unui anumit punctaj (fiind necesară în acest scop includerea de drumuri care au putut aduce puncte), acesta vizând accesul la biserici, cimitire, obiective turistice, investiții realizate cu fonduri europene. 

 

08.28.2019
Anunț privind întreruperea furnizării energiei electrice în data de 14 august 2019
Anunț privind întreruperea furnizării energiei electrice în data de 14 august 2019
Miercuri, 14 august 2014, pe raza comunei Ibănești se va întrerupe curentul electric în următoarele zone:

- Isticeu, între orele 10.00-12.00 și 18.00-20.00

- Ibănești Pădure (Pt1), între orele 10.00-20.00

- Satele cuprinse între Ibănești Pădure și Lăpușna, între orele 10.00-12.00 și 18.00-20.00

 

08.07.2019
Un urs a luat un porc dintr-o gospodărie din Isticeu
Un urs a luat un porc dintr-o gospodărie din Isticeu
În dimineața zilei de 30 iulie, când s-a întors de la lucru, Ioan Farcaș (Isticeu) și-a găsit porcul în iarbă, scos din curte, omorat și parțial mâncat de urs.

În noaptea respectivă, nefiind nimeni acasă (casa este ultima de pe deal și într-o poziție ferită) și câinii legați, ursul a intrat în gospodărie și a omorât un porc (o scroafă de doi ani, gestantă, peste 300 de kilograme, potrivit proprietarului). Când vecinul de mai jos a ieșit, alertat de lătratul câinilor, spune că a mai apucat să vadă o umbră mare trecând pe lângă casa din partea de sus. Dimineața, au observat gardul rupt și, în iarbă, locul în care ursul s-a luptat cu porcul și cum l-a tras mai departe, până în locul în care a mâncat din el și, în cele din urmă, l-a lăsat.

Primarul localității, Dan Vasile Dumitru, și autoritățile competente s-au deplasat pe teren pentru constatare și pentru a lua măsurile legale care se impun în aceste cazuri. Porcul a fost îngropat, s-a făcut dezinfecție, evaluarea lui și s-au realizat procedurile pentru acordarea de despăgubiri de către Ministerul Mediului, autoritatea responsabilă cu plata acestora. 

"Am trimis o adresă către Prefectura Mureș prin care am înștiințat-o asupra situației, cerând să facă demersuri la Ministerul Mediului pentru extragerea acestui exemplar de urs", precizează primarul comunei.

În urma evenimentului, ca măsură de protecție, Ioan Farcaș a împrejmuit zona porcilor cu gard electric. În cursul acestei nopți, la ora 02.30, ursul a revenit, mergând exact la locul unde lăsase porcul. De data aceasta, proprietarul a fost acasă, a auzit câinii și a reușit să-l sperie. Teama lui rămâne, pentru că mai are încă opt porci mai mici. "Ursul ăsta știe că mai am porci și va mai veni pe aici. Ce pot eu să fac? L-am văzut, este un urs mare!"

Potrivit Radio Târgu Mureș, valoarea despăgubirilor aferente anului 2018 depășește 3 milioane de lei. Este vorba de despăgubiri pentru pagube produse de animale sălbatice protejate din care, în 90% din cazuri, sunt pagube produse de urs (potrivit bilanțului Gărzii Forestiere Brașov). Situația se referă la județele județele Mureș, Brașov, Harghita, Covasna și Sibiu.

Important!

Pentru a fi despăgubiți, în conformitate cu Hotărârea Guvernului nr.1679/2008, proprietarii trebuie să întreprindă următoarele măsuri prealabile:

1. Să declare și să înregistreze animalele domestice la medicul veterinar și la Registrul Agricol;

2. Să declare și să înregistreze culturile în Registrul Agricol;

3. Să aibă culturile agricole împrejmuite.

După producerea pagubei, în maxim 24 de ore de la constatarea pagubei, proprietarul trebuie să se prezinte la primărie cu următoarele documente:

1. Cerere scrisă din care să reiasă paguba produsă de animalul sălbatic și data la care s-a produs paguba (pe modelul de la primărie);

2. Act de constatare emis de medicul veterinar;

3. Probe concludente cu paguba produsă (fotografii, declarații ale martorilor etc.).

De studiat: Procedura detaliată pentru obținerea despăgubirilor 

 

 

07.31.2019
ANUNȚ IMPORTANT: Acțiune de dezinsecție pe raza comunei, începând cu 17 iulie
ANUNȚ IMPORTANT: Acțiune de dezinsecție pe raza comunei, începând cu 17 iulie
Primăria Comunei Ibănești desfășoară începând cu seara zilei de 17 iulie, timp de o săptămână, o acțiune de dezinsecție pe raza întregii comune. 

"Începând din seara zilei de 17.07.2019, pe raza comunei Ibănești se va desfășura o amplă acțiune de dezinsecție. Deși produsele folosite nu sunt toxice pentru oameni, plante și animale, sfătuim locuitorii comunei noastre să ia măsuri de protecție a spațiilor locuite (să închidă ferestre, uși), iar pe apicultori să ia măsuri pentru protecția familiilor de albine", anunță primarul comunei, Dan Vasile Dumitru. 

Dezinsecțiile se vor face seara, pe cât posibil la ore cât mai târzii, atât pentru că aceasta este perioada în care acționează țânțarii, cât și pentru protecția familiilor de albine din comună, deoarece pe parcursul zilei sunt active și zboară. Acțiunile se vor desfășura pe cursurile apelor principale (Gurghiu și afluenții săi, pâraie), iar locuitorii sunt rugați să permită accesul echipelor de lucru în zonele respective, dacă acestea se află pe proprietatea lor privată și chiar să le solicite să intre pentru dezinsecție. 

Acțiuni pentru prevenirea și controlul infecției cu virusul West Nile 

Acțiunea vine ca urmare a solicitării Instituției Prefectului-Județul Mureș privind luarea de măsuri pentru supravegherea și controlul infecțiilor cu virusul West Nil, transmis prin înțepăturile de țânțari. În contextul fenomenelor meteorologice din ultima perioadă, care cresc riscul de infectare cu virusul West Nile, se cere inițierea de măsuri la nivel local constând în supravegherea și reducerea populațiilor de țânțari. În plus, locuitorii sunt sfătuiți să îndepărteze apa reziduală din gospodării sau subsoluri.

La rândul său, pe lângă recomandarea adresată autorităților locale de a intensifica măsurile de dezinsecție în localități, Ministerul Sănătății vine cu câteva precizări pentru prevenirea infecțiilor cu West Nile.

Locuitorii sunt sfătuiți să evite expunerea la țânțari, să poarte îmbrăcăminte cu mâneci lungi și pantaloni lungi, să utilizeze substanțe repelente de țanțari, să monteze plase la ferestrele locuințelor pentru a împiedica pătrunderea țânțarilor, să limiteze deplasările în zonele cu multă vegetație și umiditate ridicată (parcuri, păduri, ape stătătoare etc.), să asigure măsurile de desecare a băltirilor de apă din jurul gospodăriilor, să îndepărteze recipientele/ obiectele care favorizeaza acumularea apei și a gunoiului menajer.

Despre virusul West Nile

Organismul uman răspunde diferit în urma contactării virusului, în ceea ce privește simptomatologia. Aproximativ 80% din persoanele infectate nu prezintă simptome, dar în cazul în care identificați următoarele semne și simptome, specialiștii în sănătate publică ai Ministerului Sănătății vă recomandă să vă prezentați la cel mai apropiat cabinet medical: este vorba de - febră, durere de cap intensă, dureri musculare, vărsături, erupții cutanate.

În cazurile severe, care afectează cel mai frecvent persoanele peste 60 de ani cu afecțiuni cronice (cancer, diabet, hipertensiune, boala renală cronică), pot apărea și alte simptome: rigiditate a gâtului și sensibilitate crescută la lumină, convulsii, frisoane, oboseală cronică, slăbiciune musculară.

Supravegherea privind infecția cu virusul West Nile a debutat încă din luna iunie și până în momentul de față nu au fost raportate cazuri în țara noastră. Se impun însă măsuri pentru prevenirea infecțiilor cu acest virus, în condițiile în care anul trecut, pe 11 octombrie 2018, Ministerul Sănătății raporta că, potrivit datelor furnizate de către Centrul Naţional de Supraveghere şi Control al Bolilor Transmisibile, de la debutul sezonului 2018 până în acel moment, erau înregistrate 268 cazuri de meningite/meningo-encefalite cauzate de infecția cu virus West Nile și 38 de decese la pacienți cu co-morbidități. 

Infecția cu virusul West Nile nu se transmite de la om la om, ci doar prin înțepătura de țânțar. Nu există vaccin sau tratament antiviral specific pentru infecția cu virus West Nile.

ACTUALIZARE, 19 iulie 2019: primul caz de infecție cu virusul West Nile în România a fost confirmat joi, 18 iulie, în Galați, la un bărbat de peste 80 de ani, potrivit Centrului Național de Supraveghere și Control al Bolilor Transmisibile.

07.19.2019
Ședință extraordinară a Consiliului Local al Comunei Ibănești - miercuri,17 iulie 2019
Ședință extraordinară a Consiliului Local al Comunei Ibănești - miercuri,17 iulie 2019
Miercuri, 17 iulie, începând cu ora 9.00, are loc ședința extraordinară a Consiliului Local al Comunei Ibănești pe a cărei ordine de zi se află proiectul de hotărâre privind însușirea și adoptarea documentației cadastrale de dezmembrare a unui imobil care aparține domeniului privat al Comunei Ibănești. Inițiatorul proiectului este  primarul comunei Ibănești, Dan Vasile Dumitru.

La secțiunea proiecte de hotărâri, puteți consulta proiectul de hotărâre și raportul la proiectul de hotărâre.

 

 

07.15.2019
Stadiul proiectelor de dezvoltare a comunei, prezentat și discutat în adunarea generală cu locuitorii din Ibănești Sat
Stadiul proiectelor de dezvoltare a comunei, prezentat și discutat în adunarea generală cu locuitorii din Ibănești Sat
La adunarea generală cu locuitorii din Ibănești Sat referitoare la investițiile din comună, primarul Ibăneștiului, Dan Vasile Dumitru, a prezentat detaliat celor de față stadiul proiectelor pentru dezvoltarea comunei și alte aspecte administrative.

În cadrul întrunirii, cei aproximativ 40 de participanți au avut ocazia să afle, pe lângă stadiul implementării proiectelor, dificultățile cu care se confruntă administrația locală în implementarea acestora și soluțiile identificate, să facă sesizări, să ridice probleme și să vină cu propuneri. De asemenea, persoanelor interesate din comună le-a fost lansată invitația de a participa la ședințele Consiliului Local și de a citi procesele verbale ale ședințelor unde sunt toate detaliile referitoare la hotărârile care se iau pentru Ibănești (secțiunea procese verbale). Adunarea cu locuitorii face parte dintr-un demers prin care primarul comunei dorește să informeze locuitorii comunei și să clarifice aspecte referitoare la activitatea prezentă, proiectele și măsurile luate de administrația locală.

Podul de la Bozon și capela din Ibănești

Primele subiecte luate în discuție au fost podul de la Bozon și capela din Ibănești Sat, în condițiile în care s-a vehiculat ideea că banii destinați capelei "s-au mutat" la podul de la Bozon. Potrivit explicațiilor oferite, cele două - podul și capela - nu se exclud și se fac demersuri pentru realizarea ambelor proiecte. Referitor la podul de la Bozon, acesta este inclus în programul de asfaltare a drumurilor comunale derulat din fonduri europene, în valoare de un milion de euro, care include peste opt kilometri de drumuri. Podul de la Bozon reprezintă cheltuieli neeligibile, suportate din bugetul local, fiind o condiție impusă de către AFIR (Agenția Pentru Finanțarea Investițiilor Rurale) pentru obținerea finanțării.

„În urma controlului făcut în teren, cei de la Alba Iulia ne-au impus consolidarea unuia dintre poduri pentru că nu respectă niște standarde (este pod din platforme de cale ferată din metal, puse pe cele două maluri ale Gurghiului). Ca să ne conformăm, la data respectivă trebuia să punem din bugetul local 600.000 lei (suma include TVA). Am fost de acord să facem efortul acesta din bugetul local, mai ales că ni s-a promis atunci că, dacă în urma licitațiilor la asfaltare prețul scade (pentru că s-au făcut licitații și au ajuns și la 60% din preț, adică în loc să liciteze pe un milion de euro, firmele de construcții au luat lucrarea pe 600.000 de euro), banii care rămâneau acopereau cheltuielile neeligibile, adică banii pe care trebuia să-i punem noi. Din considerentul acesta, am fost de acord cu podul respectiv, altminteri riscam să nu avem deloc finanțarea aceea de un milion de euro. Numai că, în urma evoluțiilor financiare și a exodului de forță de muncă, prețurile au tot crescut. Am avut scos la licitație podul respectiv, reactualizat, la începutul anului, în total erau aproximativ 10 miliarde de lei (lei vechi, suma include TVA) și nu s-a prezentat nimeni. Firmele au venit, s-au interesat, au cerut caiete de sarcini, dar nu s-a prezentat niciuna, așa că am luat decizia ca să reactualizăm prețurile. Prețul a urcat și, în condițiile acestea, bugetul local trebuie să pună nu cât avea inițial (șase miliarde lei vechi), ci 11 miliarde."

Ca să se poată face licitație, termenele fiind foarte stricte în cazul finanțărilor europene, banii trebuie cuprinși în bugetul local. Primăria a fost nevoită să acopere suma pentru pod, iar prin vânzarea de terenuri pe Lunci pentru cabane și pensiuni turistice, a reușit să obțină 800.000 lei. "Proiectele accesate pe fonduri europene au termene clare care, dacă nu sunt respectate, duc la pierderea banilor și beneficiarul trebuie să dea înapoi ce a primit (executare silită). Și e mult mai grav să plătești vreo 50 de miliarde decât să pui zece”, spune primarul.

În ceea ce privește capela, demersurile pentru realizarea acesteia sunt în curs de desfășurare. Până în prezent, primăria a încheiat contract de realizare a proiectului, a cumpărat terenul între cele două cimitire din Ibănești, acesta a fost întabulat și se lucrează la terasarea terenului, urmează accesul, podețul și parcarea. 

Nu se prezintă firme la licitație. Lucrarea la canalizare scoasă de patru ori la licitație

O problemă majoră cu care se confruntă Primăria Ibănești în realizarea proiectelor actuale este că firmele nu vin la licitație și, practic, nu are cine să execute lucrările. Lucrarea pentru canalizare a fost scoasă de patru ori la licitație, prețul a fost reactualizat, dar fără succes.

„Am licitat de patru ori până acum lucrarea la canalizare și ultima dată s-a prezentat, într-adevăr, o firmă eligibilă care să îndeplinească condițiile de a semna contractul, chiar i-am dat termen să vină să semneze contractul și nu s-a prezentat. Comisia era prezentă și am întrebat de ce nu vine. Nu vin pentru că nu am oameni să o fac, n-am găsit, de o săptămână umblu să caut oameni să am cu care s-o fac! A pierdut garanția de participare, 300 de milioane, și nu a venit să semneze contractul pentru că nu sunt oameni care să lucreze."

Cum stau lucrurile în această situație? "Ne rugăm de firme ca să vină măcar să ia partea de canalizare care vine asfaltată", explică primarul care spune că sunt nemulțumiri că în capul satului era prima stradă care trebuia să fie asfaltă. Nu a fost asfaltată pentru că era și prima stradă care trebuia să aibă canalizare, iar dacă se făcea acum asfaltarea, nu se putea face ulterior canalizarea. “Următoarea era la Tica Grasu’. Nu sunt pierduți banii pentru asfaltare, dar vrem să facem și canalizare, avem banii și contractul încheiat cu Ministerul Dezvoltării, ne rugăm de firme să vină să participe, măcar să ia cu încredințare directă acel kilometru și jumătate cât se suprapune asfaltarea peste canalizare. La Isticeu, aceeași chestiune: avem trei străzi care trebuie asfaltate și nu avem om să facem canalizarea pe porțiunea respectivă. Se lucrează întâi la asfaltarea din sus (pentru că și asta este o nemulțumire – de ce facem asfaltul de sus) pentru că acolo sunt străzi pe care nu se face canalizare, pentru că fiind străzile mai largi poate să se facă canalizarea și după.”

La asfaltări, deși lucrările sunt în execuție, firma Citadin din Târgu Mureș a pus în vedere rezilierea contractului pentru că lucrează în pierdere. "S-a scumpit prețul la bitum așa de mult încât lucrează în pierdere. Ne rugăm de ei să stea. Nu vă spun că cei din sus tot postează nemulțumiri, se rupe câte o bordură, s-a găurit asfaltul... Au făcut niște lucrări peste iarnă ca să protejeze infrastructura realizată, terasarea drumului, și au turnat stratul de binder. Primul strat turnat, mai grosier, nefiind protejat de cel de deasupra care protejează, a cedat peste iarnă, a intrat apa în el, a înghețat și s-a găurit. Dar altminteri, se distrugea întreaga infrastructură, dar lucrarea este predată, ei ne-o dau când este gata, cu proces verbal de recepție, verificată de dirigintele de șantier și cu garanție de doi ani pe lucrare." 

Există totuși și o veste bună: s-a semnat contractul de aducțiune de apă (extinderea alimentării cu apă de pe Fâncel) și s-a semnat contract cu o firmă din Reghin (de altfel, singura care a venit la licitație).

Procedura posesiei, o soluție pentru obținerea proprietății

Aproximativ 1.000 de titluri de proprietate ar trebui să fie date, lucru care însă nu se întâmplă. „Au fost respinse foarte multe, deoarece se întorc de la prefectură. Avem teancuri întregi de sute de dosare întoarse de la la prefectură pentru că sunt incomplete și oamenii nu au ce acte să aducă fiindcă ei cer extras de carte funciară. N-are nimeni extras de carte funciară și le-am spus de atâtea ori că dacă ar fi avut, oamenii nici nu mai mergeau după titluri. Din păcate, așa este legea făcută și nu mai putem emite titluri de proprietate”, spune primarul.

Soluția pe care acesta o propune locuitorilor care au teren înregistrat la primărie, în Registrul Agricol, pentru care au plătit taxele și impozitele și vecinii recunosc limitele, este să opteze pentru procedura posesiei. În câteva luni se poate obține posesia (care, la fel ca proprietatea, se poate vinde), iar după trei ani, proprietatea. „După trei ani de la data întabulării acelei posesii, se transformă în proprietate. Vă sfătuim să veniți să faceți documentația, pentru că nu este complicată, numai că, spre deosebire de titluri, unde noi făceam măsurătoarea cu GPS, de data asta trebuie să vă plătiți expert (sunt toate birourile topografice). Este o șansă să aveți proprietatea clară, noi vă stăm la dispoziție. De la noi obțineți o adeverință, mai trebuie să dați o declarație la notar pe propria răspundere că sunteți dumneavoastră cel care folosește terenul și că nu v-a deranjat nimeni (dacă în decurs de trei ani apare vreun vecin sau rudă că e coproprietar, vă strică posesia) și dacă nu aveți cu nimeni probleme de proprietate asupra bunurilor respective puteți obține posesia. Eu, personal, cu directorul de la Oficiul Județean de Cadastru am făcut formularele tip care să fie acceptate și la notar și la cărțile funciare unde se duc topografii cu ele, fiindcă legea este recentă (anul trecut, la sfârșitul lui noiembrie s-a publicat și până în primăvară am lucrat la aceste proceduri – formulare)."

Primarul îndeamnă locuitorii să aleagă această variantă, în condițiile în care cadastrarea gratuită nu funcționează la nivel de țară și de județ. În Ibănești, deși s-au alocat bani, nu au venit firme de topografie care să vrea să facă lucrări de cadastrare gratuită (ar primi 100 lei/ parcelă, în alte părți e 60 lei/ parcela).

Demersuri avansate în ceea ce privește proiectele pentru căminele culturale din Ibănești Sat și Ibănești Pădure

Legat de căminele culturale, s-a arătat că nu s-au mai făcut lucrări de reparații, deoarece Primăria Ibănești a ajuns într-o fază foarte avansată de a scoate lucrarea la licitație. Este vorba de 500.000 de euro aprobați pentru fiecare dintre cele două cămine culturale.

Venituri scăzute din pădure

Veniturile din pădure s-au diminuat mult din cauza scăderii prețului lemnului. „În anii trecuți am avut în jur de 1.400.000 lei venituri din păduri, prețul lemnului a fost foarte ridicat și în urmă cu trei ani am vândut o partidă cu 470 lei/ metru cub pe picior (partidă de aproape 2.000 metri cubi), deci a fost un venit foarte bun pentru primărie, bani care au intrat în buget. Dar a căzut prețul lemnului și ne chinuim să vindem cu 200 lei/ metru cub și nu se vinde. Deci nu se vând lemnele. Dau 160, dau 170... așa de mult a scăzut prețul. Vreau să vă spun că, din păduri, estimat avem anul ăsta la 400-500.000 lei. Venituri certe, pe care noi le avem, sunt cele pe care le obținem din impozite și taxe și cele repartizate de stat pentru echilibrarea bugetelor. Dar și cele din impozite și taxe sunt atât de certe până în momentul în care vin oamenii să le plătească." Anul trecut, gradul de încasare a fost de 74%, cel mai bun procentaj fiind de 86%.

În aceste condiții, o modalitate prin care primăria dorește să obțină fonduri și, în același timp să dezvolte turismul în zonă, este să scoată la licitație parcele de terenuri pentru locuri de cabane, mai sus de festival, existând interes în zonă pentru acestea.

Probleme sesizate de locuitori

Cei prezenți au ridicat probleme punctuale, cu care se confruntă personal sau pe care le-au sesizat, fiind discutate și soluțiile acestora: pe strada din spatele poliției unde se dorește branșarea la canalizare, s-a arătat că o variantă individuală ar putea fi metoda branșării prin pompare, de la Solomon în sus a fost sesizată necesitatea unui trotuar sau a lărgirii porțiunii, s-a semnalat o problemă la pârâul Crucii și podul de acolo - curățarea decantorului și s-au purtat discuții privind curățarea șanțurilor de pe raza comunei. Luna trecută, angajații de la primărie au cosit 4 kilometri, dar nu poate fi acoperită toată comuna, a arătat viceprimarul Marius Gliga ("când eram copil, în fiecare sâmbătă seara curățam, nu așteptam primăria! Aveam atâta bun simț că-i în fața casei mele și eu îmi curățam", a spus una dintre persoanele prezente când în sală s-a ridicat problema șanțurilor care rămân necosite).

De asemenea, s-a semnalat necesitatea unor măsuri pentru siguranța pietonilor, pentru limitarea vitezei la trecerile de pietoni în locurile importante. În acest sens, urmează să fie amplasate rezonatoare (care bat când mașina trece cu roata peste ele) înainte de trecerile de pietoni de la școlile din Dulcea, Isticeu, Ibănești Sat. 

O noutate prezentată în cadrul întrunirii a fost faptul că echipajul SMURD va fi dotat cu o ambulanță nouă, cea veche fiind păstrată pentru zonele de munte, accidentate.

07.08.2019
Adunare generală referitoare la investițiile în curs de derulare în comună
Adunare generală referitoare la investițiile în curs de derulare în comună
Duminică, 7 iulie, la inițiativa primarului comunei, Dan Vasile Dumitru, are loc o adunare generală cu locuitorii din Ibănești Sat referitoare la investițiile aflate în derulare în Ibănești. Întrunirea se desfășoară la Căminul Cultural din Ibănești Sat, cu începere de la ora 12.30. 

Temele de discuție sunt: lucrările de asfaltare, de canalizare, extinderea rețelei de alimentare cu apă, situația titlurilor de proprietate, capelă și alte probleme administrative.

Adunări generale pentru informarea locuitorilor despre investițiile în derulare se vor desfășura în perioada următoare și în celelalte zone ale comunei.

 

07.07.2019
Spațiu de joacă inaugurat în Ibănești de Ziua Copilului
Spațiu de joacă inaugurat în Ibănești de Ziua Copilului
De Ziua Internațională a Copilului, în clădirea Centrului de Documentare și Informare (fosta grădiniță din Ibănești Sat) a fost inaugurat un spațiu de joacă destinat copiilor din Ibănești, investiție realizată de Primăria Ibănești.

Locul de joacă este dotat cu tobogane, o căsuță, o mini-bucătărie, mingi, piscină cu mingi și corturi cu tunel intermediar. Pe jos sunt mochetă și covoraș antiderapant (se intră fără încălțări) și este vopsit și decorat în culori vesele, pe gustul copiilor. La intrare se află un vestiar în care vor fi lăsate încălțămintea de stradă, alte obiecte vestimentare și bagajele.

Spațiul este destinat copiilor între 1-5 ani din Ibănești, este supravegheat video și intrarea se face pe baza unei cartele. „Părinții copiilor de până la cinci ani, din Ibănești, sunt rugați să contacteze primăria pentru ridicarea cartelelor de acces în spațiul de joacă”, anunță primarul comunei, Dan Vasile Dumitru.

Accesul în spațiul de joacă este gratuit. Toți copiii trebuie să vină alături de părinți sau de un alt însoțitor (spațiul de joacă dispune de un regulament de ordine interioară care trebuie respectat în mod obligatoriu și poate fi consultat aici: regulament partea 1, partea 2). 
 

06.01.2019